Property Detail

Acacia

Wildomar CA 92584

$57,600

Status: Active

Property Details

Description

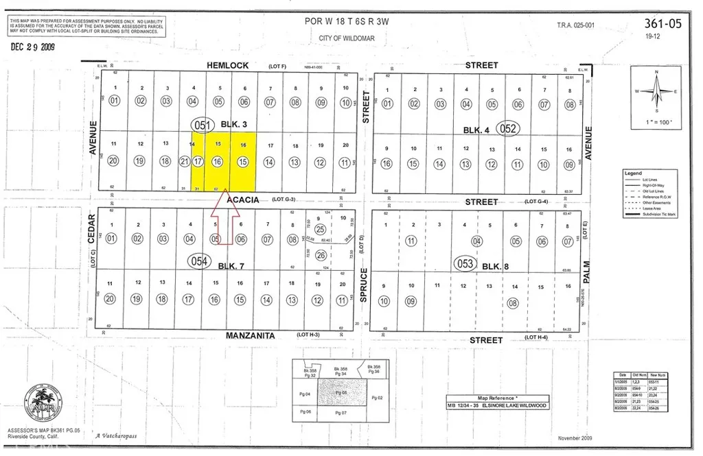
Exciting new listing! Offering a collection of 3 contiguous lots in the growing city of Wildomar, in Riverside County. Located north of the 15 Freeway and Cottonwood Acacia St., Power is nearby the topography varies from flat to gently rolling, offering scenic views and flexible development potential. Short drive to I-15, I-215, and Hwy 74, Proximity to Loma Linda University Medical Center, Mt. San Jacinto College, shopping centers, and schools. Located near Canyon Lake, Menifee, and Lake Elsinore. Whether youre looking to develop one home or invest in multiple parcels, this is an excellent opportunity in one of Southern Californias fastest-growing regions. Enjoy privacy, convenience, and beautiful surroundings, not quite off the grid, but close to nature. Buyer to verify land use and development potential with the City of Wildomar Planning Department. APN: 361-051-015; 361-051-016; 361-051-017. Size: +/- 22,000 S.F; Zoning: RR; Terrain: Flat to rolling; GPS: 33.655138, -117.235228 (S.W Corner)

Map Location

Listing provided courtesy of Amir Maloumi of First Team Real Estate. Last updated . Listing information © 2026 SANDICOR.

Marsha Pellar
Inquire Now
admin Real estate 9:00 AM - 5:00 PM 9:00 AM - 5:00 PM 9:00 AM - 5:00 PM 9:00 AM - 5:00 PM 9:00 AM - 6:00 PM 9:00 AM - 5:00 PM 9:00 AM - 5:00 PM https://static.royacdn.com/Site-d44a0d11-0cb1-40e4-949d-cfdf10178d40/Marsha_web.jpg realtor https://www.facebook.com/marsha.pellar1 https://static.royacdn.com/Site-d44a0d11-0cb1-40e4-949d-cfdf10178d40/Marsha_web.jpg