Property Detail

Vac/Calle Grillo/Vic

Palmdale CA 93550

$405,000

Status: Active

Property Details

Description

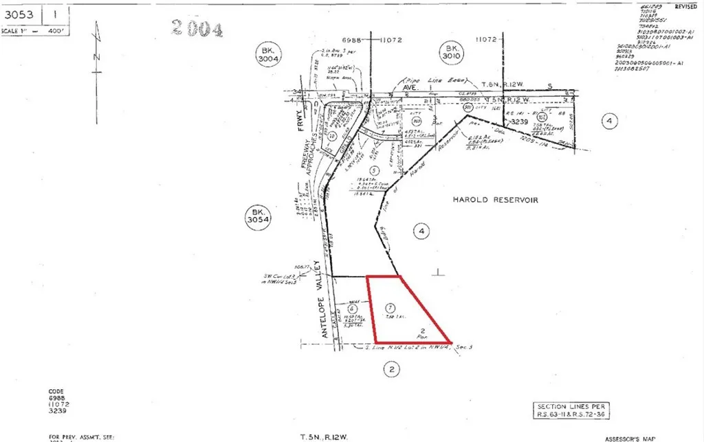
According to zoning department the following can be done: Custom estate homes, single family homes, ADUs and junior ADUs, religious facilities, venues, restaurants, Bed & Breakfast Inn. See attached PDF for more information regarding zoning. Excellent location to build your custom home overlooking Palmdale Lake. Grab your boat and relax in the water. Easy and quick access to 14fwy. Park n ride is minutes away. The lot in front of the subject lot is also listed for sale (5.47 acres). Buyer to verify all utilities and boundary lines.

Map Location

Listing provided courtesy of Priyam Rajapaksa of Re/Max All-Pro. Last updated . Listing information © 2026 SANDICOR.

Marsha Pellar
Inquire Now
admin Real estate 9:00 AM - 5:00 PM 9:00 AM - 5:00 PM 9:00 AM - 5:00 PM 9:00 AM - 5:00 PM 9:00 AM - 6:00 PM 9:00 AM - 5:00 PM 9:00 AM - 5:00 PM https://static.royacdn.com/Site-d44a0d11-0cb1-40e4-949d-cfdf10178d40/Marsha_web.jpg realtor https://www.facebook.com/marsha.pellar1 https://static.royacdn.com/Site-d44a0d11-0cb1-40e4-949d-cfdf10178d40/Marsha_web.jpg